1. najmush71@gmail.com : admin : Najmush Shakeer
  2. munir2002lubnan@gmail.com : Munirul Huq Khan : Munirul Huq Khan
শনিবার, ০৬ ডিসেম্বর ২০২৫, ০১:৪৪ অপরাহ্ন
জাতীয়

শান্তিরক্ষী প্রেরণে টানা শীর্ষে বাংলাদেশ

জাতিসংঘ শান্তি রক্ষা মিশনে সর্বোচ্চসংখ্যক শান্তিরক্ষী পাঠানো ১২৫টি দেশের মধ্যে বাংলাদেশ দীর্ঘ সময় ধরে শীর্ষ অবস্থানে রয়েছে। জাতিসংঘের তথ্য অনুসারে ২০২০ সালের জুলাই মাসের পর থেকে এ অবস্থান বহাল। তার

বিস্তারিত...

শর্তসাপেক্ষে বাড়তি নিরাপত্তা ফিরে পাচ্ছেন ৪ রাষ্ট্রদূত : স্বরাষ্ট্রমন্ত্রী

ঢাকায় নিযুক্ত ভারত, সৌদি আরব, যুক্তরাষ্ট্র ও যুক্তরাজ্যের রাষ্ট্রদূতদের জন্য শর্তসাপেক্ষে পুলিশের নেতৃত্বে এসকর্ট সুবিধা বহাল থাকার কথা জানিয়েছেন স্বরাষ্ট্রমন্ত্রী আসাদুজ্জামান খান কামাল। আজ শনিবার (২৭ মে) দুপুরে গণমাধ্যমকে দূতাবাসগুলোর

বিস্তারিত...

যুক্তরাষ্ট্রের নতুন ভিসানীতির কারণে টাকা পাচার কমবে : পররাষ্ট্রমন্ত্রী

পররাষ্ট্রমন্ত্রী এ কে আব্দুল মোমেন বলেছেন, মার্কিন যুক্তরাষ্ট্রের নতুন ভিসানীতির কারণে টাকা পাচার কমবে। আজ শনিবার (২৭ মে) রাজধানীর সেগুনবাগিচায় আন্তর্জাতিক মাতৃভাষা ইনস্টিটিউটে সাংবাদিকদের সঙ্গে আলাপকালে এসব কথা বলেন পররাষ্ট্রমন্ত্রী।

বিস্তারিত...

গাজীপুরের মেয়র নির্বাচিত জায়েদা খাতুন

গাজীপুর সিটি করপোরেশন নির্বাচনে মেয়র পদে বেসরকারিভাবে নির্বাচিত হয়েছেন স্বতন্ত্র প্রার্থী জায়েদা খাতুন। বৃহস্পতিবার দিবাগত রাত দেড়টার দিকে ৪৮০টির কেন্দ্রের সব কটির ফলাফল ঘোষিত হয়েছে। তিনি ১৬ হাজার ১৯৭ ভোটের

বিস্তারিত...

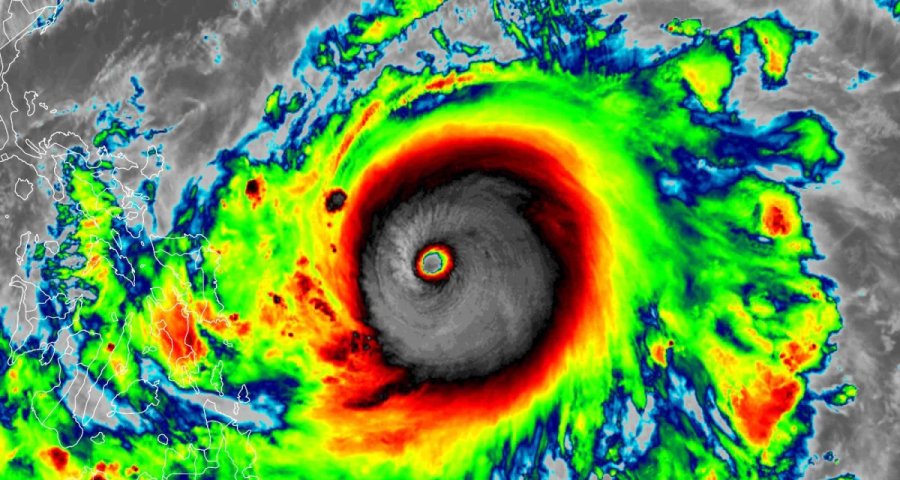
মোখার কেন্দ্রে বাতাসের গতিবেগ ১৯০ কিলোমিটার

অতিপ্রবল ঘূর্ণিঝড় মোখার কেন্দ্রে বাতাসের গতিবেগ বাড়ছে। ছয় ঘণ্টার ব্যবধানে ঘূর্ণিঝড়টির কেন্দ্রে বাতাসের সর্বোচ্চ গতিবেগ ১৫ কিলোমিটার বেড়ে গেছে। এখন এর কেন্দ্রে বাতাসের সর্বোচ্চ গতিবেগ ১৯০ কিলোমিটার। আজ শনিবার বেলা

বিস্তারিত...

কক্সবাজারে ১০ নম্বর মহাবিপদ সংকেত

বাংলাদেশের দক্ষিণ উপকূলে এগিয়ে আসছে অতিপ্রবল ঘূর্ণিঝড় মোখা। এর পরিপ্রেক্ষিতে কক্সবাজার সমুদ্রবন্দরে ১০ নম্বর মহাবিপৎসংকেত দেওয়া হয়েছে।চট্টগ্রাম ও পায়রা সমুদ্রবন্দরকে ৮ নম্বর মহাবিপৎসংকেত দেখাতে বলা হয়েছে। তবে মোংলা সমুদ্রবন্দরে ৪

বিস্তারিত...

বিশ্বব্যাংক প্রেসিডেন্টকে পদ্মা সেতুর বাঁধাই করা ছবি উপহার দিয়েছেন প্রধানমন্ত্রী শেখ হাসিনা

সোমবার (১ মে) ওয়াশিংটনে বিশ্বব্যাংক সদর দপ্তরে সংস্থাটির প্রেসিডেন্টের হাতে ছবিটি তুলে দেন প্রধানমন্ত্রী। বাংলাদেশ-বিশ্বব্যাংক অংশীদারিত্বের ৫০ বছর উদযাপন উপলক্ষে এ দিন সকাল থেকে বিশ্বব্যাংক সদর দপ্তরে বেশ কয়েকটি কর্মসূচিতে

বিস্তারিত...

মে মাসের দ্বিতীয় সপ্তাহে আঘাত হানবে ঘূর্ণিঝড়

দেশে চলমান তীব্র দাবদাহ কাটিয়ে নেমেছে বৃষ্টি, জনমনে এসেছে স্বস্তি। এরই মধ্যে এলো দুর্যোগের খবর। মে মাসের দ্বিতীয় সপ্তাহে বঙ্গোপসাগরে ভয়ংকর ঘূর্ণিঝড়ের আশঙ্কা করা হচ্ছে। এই ঘূর্ণিঝড়ের গতি হতে পারে

বিস্তারিত...

সরকারি সফরে টোকিওতে পৌঁছেছেন প্রধানমন্ত্রী

১৫ দিনের সরকারি সফরে জাপানের টোকিওতে পৌঁছেছেন প্রধানমন্ত্রী শেখ হাসিনা। স্থানীয় সময় মঙ্গলবার বিকালে টোকিও-তে পৌঁছালে বিমানবন্দরে তাকে গার্ড অব অনার দেওয়া হয়। এর আগে মঙ্গলবার সকাল ৮টায় বিমান বাংলাদেশ

বিস্তারিত...

২২তম রাষ্ট্রপতি হিসেবে শপথ নিলেন মো. সাহাবুদ্দিন

বাংলাদেশের ২২তম রাষ্ট্রপতি হিসেবে শপথ নিলেন মো. সাহাবুদ্দিন। সোমবার সকাল ১১টার দিকে বঙ্গভবনের ঐতিহাসিক দরবার হলে জাতীয় সংসদের স্পিকার ড. শিরীন শারমিন চৌধুরী তাঁকে (সাহাবুদ্দিন) রাষ্ট্রপতির পদে শপথ বাক্য পাঠ

বিস্তারিত...

© ২০২৩ আঙ্গর টিভি